
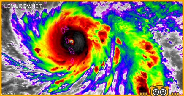
Новый ураган под названием «Мария» практически полностью разрушил остров Доминика, что находится в Карибском море. Теперь стихия движется в сторону Пуэрто-Рико.
Ураган получил самый высокий класс опасности — пятый. Премьер-министр Доминики отмечает, что они потеряли все, что можно было купить за деньги.
Порывы ветра достигают 260 км/час. Мартиника, которая находится по-соседству, объявила о максимальном уровне опасности, а в Гваделупе началась массовая эвакуация жителей.